


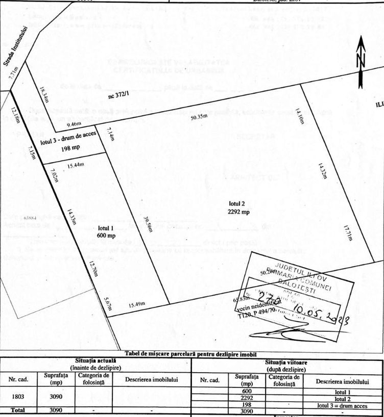
Teren Intravilan de 2292 mp în Apropierea Zonei Hornbach
Descoperiți o oportunitate unică de investiție cu acest teren de 2292 mp, situat în imediata apropiere a zonei Hornbach, pe aceeași parte a DN1. Proprietatea este accesibilă direct din DN1 prin intermediul străzii Institutului și este parcelabilă în loturi convenabile de 700 mp sau 1000 mp.
Localizare Strategică:
Amplasat la doar aproximativ 15 metri de Petrești-Corbeanca, pe strada Institutului, acest teren oferă acces rapid și facil către DN1 și zona comercială din apropiere.
Strada Institutului servește ca o legătură esențială între Petrești și DN1, facilitând accesul la diverse facilități comerciale și de agrement.
Acces la Dotări și Servicii:
Beneficiați de proximitatea față de zona comercială Value Center-Balotești, unde se găsesc o varietate de magazine, restaurante, farmacii și alte facilități.
Oportunitatea perfectă pentru dezvoltarea unei afaceri, construirea unei locuințe sau a altor proiecte imobiliare, datorită infrastructurii și facilităților din zonă.
Alegeți inteligent și investiți în viitorul dvs. cu acest teren atrăgător, . Contactați-ne astăzi pentru mai multe informații și pentru a programa o vizionare!