




Descoperă oportunitatea perfectă de a construi casa visurilor tale în Mogoșoaia!
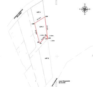
Îți prezentăm un teren intravilan de 582 mp, situat într-un minicomplex rezidențial privat, pe Strada Crinului, într-o zonă liniștită, verde, la câțiva pași de lac.
📐 Caracteristici teren:
✔ Suprafață totală: 582 mp
✔ Deschidere la drum de acces: 33,28 metri
✔ Acces facil din drumul principal
✔ Lot de casă într-un mini ansamblu rezidențial
✔ Formă ideală pentru construcție
✔ Utilități în zonă
✔ Proiect de casă existent – avantaj major pentru viitorul proprietar
🏗 Indicatori urbanistici:
📌 POT maxim: 30%
📌 CUT maxim: 1
📌 Regim de înălțime: P + 2 etaje
👉 Permite realizarea unei locuințe spațioase, moderne, cu grădină și curte generoasă.
🌳 Avantaje locație – Mogoșoaia:
✅ Zonă rezidențială premium
✅ Aproape de lac și spații verzi
✅ Aer curat și liniște
✅ Acces rapid către București
✅ Aproape de:
Parcul Mogoșoaia
Palatul Mogoșoaia
Școli și grădinițe
Magazine și supermarketuri
Transport public
💼 Ideal pentru:
🏠 Construcție casă individuală
🏘 Casă de vacanță
📈 Investiție imobiliară
👨👩👧 Familie care caută liniște lângă București
⭐ De ce să alegi acest teren?
✔ Poziție excelentă lângă lac
✔ Acces privat și organizare de tip rezidențial
✔ Parametri urbanistici avantajoși
✔ Proiect existent – economie de timp și bani
✔ Zonă în plină dezvoltare
📞 Contactează-mă pentru detalii, planuri cadastrale și vizionare!
Nu rata această oportunitate rară de teren în Mogoșoaia, Strada Crinului!